Login
Register
MGJ
Orange County Airport
Official FAA Data Effective 2026-01-22 0901Z
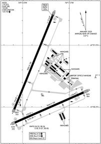
VFR Chart of KMGJ
Sectional Charts at SkyVector.com
IFR Chart of KMGJ
Enroute Charts at SkyVector.com
Location Information for KMGJ
Coordinates: N41°30.71' / W74°15.81'Located 01 miles SW of Montgomery, New York on 596 acres of land. View all Airports in New York.
Surveyed Elevation is 369 feet MSL.
TPA: 1030 FT AGL SINGL ENG, 1330 FT AGL MULT ENG/TURBOPROP/JET.
Operations Data
|
|
Airport Communications
| ASOS: | 119.275 Tel. 845-457-1486 |
|---|---|
| NEW YORK APPROACH: | 132.75 363.1 |
| NEW YORK DEPARTURE: | 132.75 363.1 |
| CLEARANCE DELIVERY: | 123.85 |
| CTAF: | 122.725 |
| UNICOM: | 122.725 |
| ATIS at SWF (7.2 E): | 124.575 |
| ATIS at POU (18.4 E): | 126.75 |
| ASOS at POU (18.5 E): | 126.75 845-462-0648 |
Nearby Navigation Aids
|
| ||||||||||||||||||||||||||||||||||||||||||||||||||||||||||||
Runway 04/22
| Dimensions: | 5006 x 100 feet / 1526 x 30 meters | |
|---|---|---|
| Surface: | Asphalt / Grooved in Excellent Condition | |
| Weight Limits: | S-30, D-57, ST-85 | |
| Edge Lighting: | High Intensity | |
| Runway 04 | Runway 22 | |
| Coordinates: | N41°30.48' / W74°16.09' | N41°31.25' / W74°15.68' |
| Elevation: | 355.0 | 369.9 |
| Traffic Pattern: | Left | Right |
| Runway Heading: | 22° True | 202° True |
| Markings: | Precision Instrument in good condition. | Precision Instrument in good condition. |
| Glide Slope Indicator | P4L (3.00° Glide Path Angle) | P2L (3.00° Glide Path Angle) |
| REIL: | Yes | Yes |
| Obstacles: | 54 ft Trees 555 ft from runway, 489 ft left of center | 65 ft Trees 1272 ft from runway, 523 ft right of center |
Runway 08/26
| Dimensions: | 3664 x 100 feet / 1117 x 30 meters | |
|---|---|---|
| Surface: | Asphalt in Good Condition | |
| Weight Limits: | S-30, D-57, ST-85 | |
| Edge Lighting: | Medium Intensity | |
| Runway 08 | Runway 26 | |
| Coordinates: | N41°30.38' / W74°16.08' | N41°30.62' / W74°15.35' |
| Elevation: | 352.0 | 364.1 |
| Traffic Pattern: | Left | Right |
| Runway Heading: | 66° True | 246° True |
| Displaced Threshold: | 315 Feet | |
| Markings: | Non-Precision Instrument in good condition. | Precision Instrument in good condition. |
| Glide Slope Indicator | P2L (3.50° Glide Path Angle) | P2L (3.50° Glide Path Angle) |
| Obstacles: | 49 ft Trees 790 ft from runway, 180 ft left of center | 87 ft Fence 526 ft from runway, 138 ft left of center RWY 26 APCH SLOPE 11:1 DUE TO 56 FT TREE 644 FT FM DTHR. |
Services Available
| Fuel: | 100LL (blue), Jet-A |
|---|---|
| Transient Storage: | Hangars |
| Airframe Repair: | MAJOR |
| Engine Repair: | MAJOR |
| Bottled Oxygen: | HIGH/LOW |
| Bulk Oxygen: | HIGH/LOW |
| Other Services: | CHARTER SERVICE,PILOT INSTRUCTION |
Ownership Information
| Ownership: | Publicly owned | |
|---|---|---|
| Owner: | ORANGE COUNTY | |
| 255 MAIN STREET | ||
| GOSHEN, NY 10924 | ||
| 845-291-4000 | ||
| Manager: | EDWARD MAGRYTA | |
| 500 DUNN RD. | ||
| MONTGOMERY, NY 12549-2402 | ||
| 845-457-4925 | ||
Other Remarks
- 9 FT STABILIZED SHOULDER EACH SIDE OF RWY 8/26.
- FUEL AVAIL. AFT HRS BY CREDIT CARD SELF-SVC RAMP.
- DEER AND BIRDS ON AND INVOF ARPT.
- RWY 04 DESGND CALM WIND RWY.
- FOR CD CTC NEW YORK APCH AT 516-683-2448 OR 123.85
- RWY 04-22 HIRLS ON PHOTOCELL DRG DAY, ON REMOTE AT NGT.
- NOISE ABATEMENT PROCEDURES IN EFCT; CTC AMGR 845-457-4925.
- BE AWARE OF LRG TBJT ACFT INVOF STEWART ARPT LCTD 7 NM ESE. 800 FT HILL 1/2 MILE NW OF ARPT ON DOWNWIND/BASE LEG FOR RWY 22.
- SAWRS
- ACTVT HIRL RWY 04/22; MIRL RWY 08/26; TWY LGTS - CTAF. REIL RWY 04 & 22; PAPI RWYS 04 & 22; 08 & 26 OPR CONSLY. PCL ONLY AVBL SS-SR.
- AUTOMATED UNICOM.
- TPA: 1030 FT AGL SINGL ENG, 1330 FT AGL MULT ENG/TURBOPROP/JET.
Weather Minimums
Instrument Approach Procedure (IAP) Charts
Nearby Airports with Instrument Procedures
| ID | Name | Heading / Distance | ||
|---|---|---|---|---|
![]() |
KSWF | New York Stewart International Airport | 093° | 7.2 |
![]() |
06N | Randall Airport | 230° | 7.5 |
![]() |
N82 | Wurtsboro/Sullivan County Airport | 300° | 10.2 |
![]() |
N89 | Joseph Y Resnick Airport | 338° | 14.0 |
![]() |
KPOU | Hudson Valley Regional Airport | 067° | 18.4 |
![]() |
4N1 | Greenwood Lake Airport | 189° | 23.3 |
![]() |
KFWN | Sussex Airport | 221° | 24.8 |
![]() |
44N | Sky Acres Airport | 063° | 26.4 |
![]() |
KMSV | Sullivan County International Airport | 295° | 26.5 |
![]() |
20N | Kingston-Ulster Airport | 025° | 31.4 |
![]() |
N07 | Lincoln Park Airport | 183° | 33.9 |
![]() |
KDXR | Danbury Municipal Airport | 103° | 36.2 |








