Login
Register
ORD
Chicago O'Hare International Airport
Official FAA Data Effective 2025-11-27 0901Z
VFR Chart of KORD
Sectional Charts at SkyVector.com
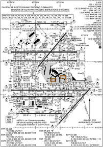
IFR Chart of KORD
Enroute Charts at SkyVector.com
Location Information for KORD
Coordinates: N41°58.62' / W87°54.49'Located 14 miles NW of Chicago, Illinois on 7627 acres of land. View all Airports in Illinois.
Surveyed Elevation is 680 feet MSL.
Operations Data
|
|
Airport Communications
| D-ATIS: | 135.4 (773-601-8921) 282.225 (773-601-8921) |
|---|---|
| ASOS: | Tel. 773-800-0035 |
| O HARE TOWER: | 120.75 ;RWY 04R/22L 120.75 ;RWY 10C/28C 121.15 ;RWY 09C/27C 126.9 ;RWY 09R/27L 126.9 ;RWY 22R 128.15 ;RWY 09L/27R 132.7 ;RWY 10L/28R 133.0 ;RWY 10R/28L 348.0 |
| O HARE GROUND: | 118.05 ;TWR SOUTH 121.675 121.75 ;TWR CENTER OUTBOUND 121.9 ;TWR CENTER INBOUND 124.125 ;TWR NORTH 134.15 ;TWR CENTER 226.675 |
| CHICAGO APPROACH: | 119.0 ;360-179 124.35 125.7 ;180-359 133.625 ;180-359 292.125 ;360-179 350.325 ;180-359 377.15 |
| CHICAGO DEPARTURE: | 126.625 ;150-219 SOUTH 126.625 ;220-319 WEST 128.575 ;320-149 EAST/NORTH 327.075 ;150-219 SOUTH 327.075 ;220-319 WEST 351.675 ;320-149 EAST/NORTH |
| IC: | 119.0 ;360-179 292.125 ;360-179 |
| CLEARANCE DELIVERY: | 119.25 121.6 121.6 |
| PRE TAXI CLNC: | 121.6 |
| CLASS B: | 120.55 ;NORTH 128.2 ;SOUTHEAST 133.5 ;SOUTH 306.925 ;NORTH 349.0 ;SOUTH 353.875 ;SOUTHEAST |
| EMERG: | 121.5 243.0 |
| UNICOM: | 122.950 |
| OHARE DP: | 126.625 ;SOUTH 126.625 ;WEST 128.575 ;EAST/NORTH 327.075 ;SOUTH 327.075 ;WEST 351.675 ;EAST/NORTH |
| METERING: | 121.675 |
| ALCP: | 252.1 |
| PRM: | 119.625 ;RWY 10C/28C 128.05 ;RWY 10R/28L |
| VFR ADZY: | 126.8 |
| ATIS at PWK (8.3 N): | 124.2 |
| ASOS at PWK (8.6 N): | 847-465-0291 |
| AWOS-3 at 06C (9.0 W): | 128.275 (847) 895-2887 |
- CLASS B FREQS 120.55/306.925 FOR VFR AIRCRAFT REQUESTING TRAFFIC ADVISORIES OR TO TRANSITION CLASS B NORTH OF OHARE.
- CLASS B FREQS 133.5/349.0 FOR VFR AIRCRAFT REQUESTING TRAFFIC ADVISORIES OR TO TRANSITION CLASS B SOUTH OF OHARE.
- ASR-7 (N) UNUSBL 166-193 8-50 NM.
- IF UNABLE TO CONTACT CHICAGO APCH/DEP CTL ON 133.1; CALL 312-686-0681 TO OBTAIN IFR CLNC.
- DUAL VHF COMMUNICATIONS REQUIRED FOR SIMULTANEOUS CLOSE PARALLEL ILS PRM APPROACHES. RY 10C MONITOR 119.625, RY 10R MONITOR 128.05.
- CLASS B FREQS 128.2/353.875 FOR VFR AIRCRAFT REQUESTING TRAFFIC ADVISORIES OR TO TRANSITION CLASS B SOUTHEAST OF OHARE.
- ASDE-X IN USE. OPERATE TRANSPONDERS WITH ALTITUDE REPORTING MODE AND ADS-B (IF EQUIPPED) ENABLED ON ALL AIRPORT SURFACES.
Nearby Navigation Aids
|
| ||||||||||||||||||||||||||||||||||||||||||||||||||||||||||||
Runway 10L/28R
| Dimensions: | 13000 x 150 feet / 3962 x 46 meters | |
|---|---|---|
| Surface: | Asphalt-Concrete / Grooved in Good Condition | |
| Weight Limits: | S-120, D-250, ST-550, DT-1118
PCR VALUE: 1180/R/C/W/U
| |
| Edge Lighting: | High Intensity | |
| Runway 10L | Runway 28R | |
| Coordinates: | N41°58.14' / W87°55.89' | N41°58.14' / W87°53.02' |
| Elevation: | 672.1 | 651.4 |
| Traffic Pattern: | Left | Left |
| Runway Heading: | 90° True | 270° True |
| Declared Distances: | TORA:13000 TODA:13000 ASDA:13000 LDA:12246 | TORA:13000 TODA:13000 ASDA:13000 LDA:13000 |
| Markings: | Precision Instrument in good condition. | Precision Instrument in good condition. |
| Glide Slope Indicator | P4L (3.00° Glide Path Angle) | P4L (3.00° Glide Path Angle) |
| RVR Equipment | Touchdown Midfield Rollout | Touchdown Midfield Rollout |
| Approach Lights: | ALSF2 Standard 2,400 Foot High-intensity Approach Lighting System with sequenced flashers, CATEGORY II or III Configuration. | ALSF2 Standard 2,400 Foot High-intensity Approach Lighting System with sequenced flashers, CATEGORY II or III Configuration. |
| Centerline Lights: | Yes | Yes |
| Obstacles: | 47 ft Trees 2336 ft from runway, 678 ft right of center | |
Runway 09R/27L
TRIPLE DUAL TANDEM (3D) 768,000 LBS; DUAL TANDUM W/DUAL WHEEL (2D/D1) 632,755 LBS. | ||
| Dimensions: | 11260 x 150 feet / 3432 x 46 meters | |
|---|---|---|
| Surface: | Asphalt-Concrete / Grooved in Excellent Condition | |
| Weight Limits: | S-120, D-250, ST-550, DT-1118
PCR VALUE: 1180/R/C/W/T
| |
| Edge Lighting: | High Intensity | |
| Runway 09R | Runway 27L | |
| Coordinates: | N41°59.03' / W87°55.89' | N41°59.03' / W87°53.41' |
| Elevation: | 668.0 | 650.2 |
| Traffic Pattern: | Left | Left |
| Runway Heading: | 90° True | 270° True |
| Declared Distances: | TORA:11260 TODA:11260 ASDA:11260 LDA:11260 | TORA:11260 TODA:11260 ASDA:11260 LDA:11260 |
| Markings: | Precision Instrument in good condition. | Precision Instrument in good condition. |
| Glide Slope Indicator | P4L (3.00° Glide Path Angle) | P4R (3.00° Glide Path Angle) PAPI UNUSBL BYD 8 DEGS RIGHT AND 9 DEGS LEFT OF CNTRLN. |
| RVR Equipment | Touchdown Midfield Rollout | Touchdown Midfield Rollout |
| Approach Lights: | ALSF2 Standard 2,400 Foot High-intensity Approach Lighting System with sequenced flashers, CATEGORY II or III Configuration. | ALSF2 Standard 2,400 Foot High-intensity Approach Lighting System with sequenced flashers, CATEGORY II or III Configuration. |
| Centerline Lights: | Yes | Yes |
| Obstacles: | 47 ft Tree 2157 ft from runway, 252 ft right of center | 50 ft Railroad 1938 ft from runway |
Runway 09C/27C
| Dimensions: | 11245 x 200 feet / 3427 x 61 meters | |
|---|---|---|
| Surface: | Concrete / Grooved in Excellent Condition | |
| Weight Limits: | S-120, D-250, ST-550, DT-1118
PCR VALUE: 1180/R/C/W/T
| |
| Edge Lighting: | High Intensity | |
| Runway 09C | Runway 27C | |
| Coordinates: | N41°59.30' / W87°55.89' | N41°59.30' / W87°53.41' |
| Elevation: | 673.3 | 652.4 |
| Runway Heading: | 90° True | 270° True |
| Declared Distances: | TORA:11245 TODA:11245 ASDA:11245 LDA:11245 | TORA:11245 TODA:11245 ASDA:11245 LDA:11245 |
| Markings: | Precision Instrument in good condition. | Precision Instrument in good condition. |
| Glide Slope Indicator | P4L (3.00° Glide Path Angle) | P4L (3.00° Glide Path Angle) |
| RVR Equipment | Touchdown Midfield Rollout | Touchdown Midfield Rollout |
| Approach Lights: | ALSF2 Standard 2,400 Foot High-intensity Approach Lighting System with sequenced flashers, CATEGORY II or III Configuration. | ALSF2 Standard 2,400 Foot High-intensity Approach Lighting System with sequenced flashers, CATEGORY II or III Configuration. |
| Centerline Lights: | Yes | Yes |
| Obstacles: | 126 ft Antenna 5411 ft from runway, 721 ft left of center | |
Runway 10C/28C
| Dimensions: | 10800 x 200 feet / 3292 x 61 meters | |
|---|---|---|
| Surface: | Concrete / Grooved in Excellent Condition | |
| Weight Limits: | S-120, D-250, ST-550, DT-1118
PCR VALUE: 1180/R/C/W/T
| |
| Edge Lighting: | High Intensity | |
| Runway 10C | Runway 28C | |
| Coordinates: | N41°57.94' / W87°55.89' | N41°57.95' / W87°53.51' |
| Elevation: | 669.4 | 650.1 |
| Runway Heading: | 90° True | 270° True |
| Declared Distances: | TORA:10800 TODA:10800 ASDA:10540 LDA:10540 | TORA:10800 TODA:10800 ASDA:10800 LDA:10800 |
| Markings: | Precision Instrument in good condition. | Precision Instrument in good condition. |
| Glide Slope Indicator | P4L (3.00° Glide Path Angle) | P4L (3.00° Glide Path Angle) |
| RVR Equipment | Touchdown Midfield Rollout | Touchdown Midfield Rollout |
| Approach Lights: | ALSF2 Standard 2,400 Foot High-intensity Approach Lighting System with sequenced flashers, CATEGORY II or III Configuration. | ALSF2 Standard 2,400 Foot High-intensity Approach Lighting System with sequenced flashers, CATEGORY II or III Configuration. |
| Centerline Lights: | Yes | Yes |
Runway 04R/22L
| Dimensions: | 8075 x 150 feet / 2461 x 46 meters | |
|---|---|---|
| Surface: | Asphalt / Grooved in Good Condition | |
| Weight Limits: | S-120, D-250, ST-550, DT-1118
PCR VALUE: 1180/R/C/W/U
| |
| Edge Lighting: | High Intensity | |
| Runway 04R | Runway 22L | |
| Coordinates: | N41°57.20' / W87°53.97' | N41°58.20' / W87°52.78' |
| Elevation: | 661.4 | 654.4 |
| Traffic Pattern: | Left | Left |
| Runway Heading: | 42° True | 222° True |
| Declared Distances: | TORA:8075 TODA:8075 ASDA:8075 LDA:8075 | TORA:8075 TODA:8075 ASDA:8075 LDA:8075 |
| Markings: | Precision Instrument in good condition. | Precision Instrument in good condition. |
| Glide Slope Indicator | P4R (3.00° Glide Path Angle) | P4L (3.00° Glide Path Angle) |
| RVR Equipment | Touchdown Midfield Rollout | Touchdown Midfield Rollout |
| Approach Lights: | MALSR 1,400 Foot Medium-intensity Approach Lighting System with runway alignment indicator lights. | MALSR 1,400 Foot Medium-intensity Approach Lighting System with runway alignment indicator lights. |
| Centerline Lights: | Yes | Yes |
| Obstacles: | 45 ft Trees 1997 ft from runway, 628 ft left of center | |
Runway 04L/22R
| Dimensions: | 7500 x 150 feet / 2286 x 46 meters | |
|---|---|---|
| Surface: | Asphalt / Grooved in Good Condition | |
| Weight Limits: | S-120, D-250, ST-550, DT-1118
PCR VALUE: 1180/R/C/W/T
| |
| Edge Lighting: | High Intensity | |
| Runway 04L | Runway 22R | |
| Coordinates: | N41°58.90' / W87°54.84' | N41°59.85' / W87°53.78' |
| Elevation: | 655.7 | 647.7 |
| Traffic Pattern: | Left | Left |
| Runway Heading: | 39° True | 219° True |
| Declared Distances: | TORA:7500 TODA:7500 ASDA:7500 | LDA:7300 |
| Markings: | Precision Instrument in good condition. | Precision Instrument in good condition. |
| Glide Slope Indicator | P4L (3.00° Glide Path Angle) | |
| RVR Equipment | Touchdown Rollout | Touchdown Rollout |
| Approach Lights: | MALSR 1,400 Foot Medium-intensity Approach Lighting System with runway alignment indicator lights. | |
| Centerline Lights: | Yes | Yes |
| Obstacles: | 43 ft Trees 2415 ft from runway, 640 ft left of center | |
Runway 09L/27R
| Dimensions: | 7500 x 150 feet / 2286 x 46 meters | |
|---|---|---|
| Surface: | Concrete / Grooved in Good Condition | |
| Weight Limits: | S-120, D-243, ST-392, DT-891
PCR VALUE: 800/R/C/W/U
| |
| Edge Lighting: | High Intensity | |
| Runway 09L | Runway 27R | |
| Coordinates: | N42°0.17' / W87°55.60' | N42°0.17' / W87°53.94' |
| Elevation: | 668.0 | 663.6 |
| Runway Heading: | 90° True | 270° True |
| Declared Distances: | TORA:7500 TODA:7500 ASDA:7500 LDA:7500 | TORA:7500 TODA:7500 ASDA:7500 LDA:7500 |
| Markings: | Precision Instrument in good condition. | Precision Instrument in good condition. |
| Glide Slope Indicator | P4L (3.00° Glide Path Angle) | P4L (3.00° Glide Path Angle) |
| RVR Equipment | Touchdown Midfield Rollout | Touchdown Midfield Rollout |
| Approach Lights: | ALSF2 Standard 2,400 Foot High-intensity Approach Lighting System with sequenced flashers, CATEGORY II or III Configuration. | ALSF2 Standard 2,400 Foot High-intensity Approach Lighting System with sequenced flashers, CATEGORY II or III Configuration. |
| Centerline Lights: | Yes | Yes |
| Obstacles: | 745 ft Tower 27413 ft from runway, 4442 ft right of center | 84 ft Building 3793 ft from runway, 118 ft left of center |
Runway 10R/28L
| Dimensions: | 7500 x 150 feet / 2286 x 46 meters | |
|---|---|---|
| Surface: | Concrete / Grooved in Excellent Condition | |
| Weight Limits: | S-120, D-243, ST-392, DT-891
PCR VALUE: 800/R/C/W/T
| |
| Edge Lighting: | High Intensity | |
| Runway 10R | Runway 28L | |
| Coordinates: | N41°57.43' / W87°55.67' | N41°57.43' / W87°54.02' |
| Elevation: | 680.0 | 658.0 |
| Runway Heading: | 90° True | 270° True |
| Declared Distances: | TORA:7500 TODA:7500 ASDA:7500 LDA:7500 | TORA:7500 TODA:7500 ASDA:7500 LDA:7500 |
| Markings: | Precision Instrument in good condition. | Precision Instrument in good condition. |
| RVR Equipment | Touchdown Midfield Rollout | Touchdown Midfield Rollout |
| Approach Lights: | ALSF2 Standard 2,400 Foot High-intensity Approach Lighting System with sequenced flashers, CATEGORY II or III Configuration. | ALSF2 Standard 2,400 Foot High-intensity Approach Lighting System with sequenced flashers, CATEGORY II or III Configuration. |
| Centerline Lights: | Yes | Yes |
| Obstacles: | 74 ft Tree 2555 ft from runway, 831 ft right of center | |
Helipad H1
APCH/ DEP PATHS ARE EAST & WEST. | ||
| Dimensions: | 200 x 100 feet / 61 x 30 meters | |
|---|---|---|
| Surface: | Concrete | |
| Edge Lighting: | Perimeter | |
| Coordinates: | N41°58.65' / W87°53.07' | N0°0.00' / E0°0.00' |
| Elevation: | 649.7 | |
| Markings: | Basic in good condition. | |
Services Available
| Fuel: | 100LL (blue), Jet-A |
|---|---|
| Transient Storage: | NONE |
| Airframe Repair: | MAJOR |
| Engine Repair: | MAJOR |
| Bottled Oxygen: | HIGH |
| Bulk Oxygen: | HIGH/LOW |
Ownership Information
| Ownership: | Publicly owned | |
|---|---|---|
| Owner: | CITY OF CHICAGO | |
| P.O. BOX 66142, 10510 WEST ZEMKE RO, 10510 WEST ZEMKE RO | ||
| CHICAGO, IL 60666 | ||
| 773-686-2200 | ||
| Manager: | MICHAEL MCMURRAY | PLANNING INQUIRIES CTC ADAM ROD - (773) 894-6907. |
| 10510 WEST ZEMKE RO | ||
| CHICAGO, IL 60666 | ||
| 773-686-8060 | ||
Other Remarks
- NOISE ABATEMENT PROC IN EFFECT FM 2200 TO 0700; CTC AMGR - 773-686-2255.
- MAG DEVIATION PSBL IMT W OF TWY Y & RWY 22L APCH ON TWY N.
- PAEW NEAR VARIOUS TWYS.
- PERIODIC FIRE DEPT TRNG AT N SECTOR OF THE ARPT.
- BIRDS ON & INVOF ARPT; PYROTECHNICS & BIRD CANNONS IN USE.
- PRIM RUN-UP LOCATION GROUND RUN UP ENCLOSURE; SECONDARY RUN UP LOCATIONS AVBL UPON REQ - CTC CITY OPS 773-686-2255.
- LINE UP AND WAIT AUTHORIZATION IN EFF BTWN SS AND SR AT THE FLWG INTS: RWY 28R AT TWY GG, TWY EE AND TWY N5; RWY 10L AT TWY DD AND TWY CC AND TWY SS; RWY 27C AT TWY TT; RWY 9C AT TWY FF; RWY 27L AT TWY TT; RWY 9R AT TWY SS AND FF. THESE RWYS WILL BE USED FOR DEPS ONLY WHEN EXERCISING THE PROVISIONS OF THIS AUTHORIZATION.
- ALL PART 91 & UNSKED PART 125, 133 & 135 CHARTER OPERATORS CTC SIGNATURE FLIGHT SUPPORT AT 773-686-7000 REGARDING NEW SECURITY REGULATIONS PRIOR TO DEP.
- EAST AND WEST GATES ARE MANNED 24 HRS A DAY.
- ATCT IS AUTH TO CONDUCT SIMUL DEPS FM RWY 04L/04R, RWY 22L/22R, RWY 09R WITH RWY 09L OR RWY 10L, RWY 09C WITH RWY 09L OR RWY 10L, RWY 10C WITH RWY 09R OR RWY 09C, RWY 27L WITH RWY 27R OR RWY 28R, RWY 27C WITH RWY 27R OR RWY 28R, RWY 28C WITH RWY 27L OR RWY 27C WITH CRS DIVERGENCE BEGINNING NO LATER THAN 4 MILES FM RWY END.
- BE ALERT: TWY S1 OBND OR EB ONLY, TWY S2 INBD OR WB ONLY, TWY P1, P2, P3, P5, AND P6 NB ONLY, TWY E1, E2, E3 & E4 SB ONLY. TWY E3 WB ONLY FM RWY 09C/27C.
- A380-800 OPR CONSTRAINTS EXIST ON RWYS, TWYS, & RAMPS - CTC ARPT OPS FOR INFO 773-686-2255.
- DVRSN ACRS WO A PRESENCE AT ORD SHOULD CTC ARPT OPNS 773-686-2255 PRIOR TO DIVERTING TO THE EXTENT PRACTICAL AND PRVD: CO, FLIGHT OPS CTC INFO, ACFT TYPE, PERSONS OB, INTL OR DOMESTIC, ANY GND HANDLER AGRMTS IN PLACE.
- BE ALERT: THE NORTHEAST/SOUTHWEST PORTION OF TWY YY IS NOT VSBL FM THE CENTER ATCT.
- B747-8 OPS NOT AUTHORIZED ON RWY 09R/27L, 09L/27R & 10R/28L.
- ACFT ARE NOT PMTD TO STOP ON EITHER TWY A OR B BRIDGES.
- RWY STATUS LGTS ARE IN OPN.
- TWY NN1 INBD/EB ONLY; TWY NN2 OUBD/WB ONLY.
- ORD TWY A17 CLSD TO ACFT WINGSPAN MORE THAN 96FT.
- ACFT WITH WINGSPAN GREATER THAN 214 FT RQR 48 HRS PPR - 773-686-2255.
- SEE LND & HOLD SHORT OPS SECTION.
- ALERT: DUPE ALPHA-NUMERIC TWY DESIGNATORS & TRML GATE DESIGNATIONS INVOLVING THE LTRS B, C, G, H, K, L & M.
- RWY 10X SUPPORTS THE SECOND STRAIGHT IN ILS SYSTEM I-IZJ ON RWY 10R.
- CLSD TO ARR.
- CLSD TO DEP.
- AND DU PAGE CO.
- ENGINEERED MATERIALS ARRESTING SYSTEM (EMAS), 170 FT WIDE BY 546 FT LENGTH, LCTD AT THE DER 04R.
- ENGINEERED MATERIALS ARRESTING SYSTEM (EMAS), 170 FT WIDE BY 303 FT LENGTH, LCTD AT THE DER 22L.
Weather Minimums
Standard Terminal Arrival (STAR) Charts
- BENKY SIX (RNAV)

- BENKY SIX (RNAV), CONT.1

- ERNNY EIGHT (RNAV)

- ERNNY EIGHT (RNAV), CONT.1

- ESSPO FIVE (RNAV)

- FYTTE SEVEN (RNAV)

- FYTTE SEVEN (RNAV), CONT.1

- JANESVILLE ONE

- MADII SEVEN (RNAV)

- MADII SEVEN (RNAV), CONT.1

- SHAIN TWO (RNAV)

- SHAIN TWO (RNAV), CONT.1

- TRTLL SIX (RNAV)

- TRTLL SIX (RNAV), CONT.1

- VEECK FIVE (RNAV)

- VEECK FIVE (RNAV), CONT.1

- WATSN FOUR (RNAV)

- WYNDE THREE (RNAV)

- WYNDE THREE (RNAV), CONT.1

Instrument Approach Procedure (IAP) Charts
- ILS OR LOC RWY 04R

- ILS OR LOC RWY 09C

- ILS OR LOC RWY 09L

- ILS OR LOC RWY 09R

- ILS OR LOC RWY 10C

- ILS OR LOC RWY 10L

- ILS OR LOC RWY 22L

- ILS OR LOC RWY 22R

- ILS OR LOC RWY 27C

- ILS OR LOC RWY 27L

- ILS OR LOC RWY 27R

- ILS OR LOC RWY 28C

- ILS OR LOC RWY 28L

- ILS OR LOC RWY 28R

- ILS Y OR LOC Y RWY 10R

- ILS Z OR LOC Z RWY 10R

- ILS RWY 09C (SA CAT I)

- ILS RWY 09L (SA CAT I)

- ILS RWY 10C (SA CAT I)

- ILS RWY 10L (SA CAT I)

- ILS RWY 27C (SA CAT I)

- ILS RWY 27L (SA CAT I)

- ILS RWY 27R (SA CAT I)

- ILS RWY 28C (SA CAT I)

- ILS RWY 28L (SA CAT I)

- ILS RWY 28R (SA CAT I)

- ILS Z RWY 10R (SA CAT I)

- ILS RWY 04R (SA CAT I - II)

- ILS RWY 22L (SA CAT I - II)

- ILS RWY 09C (CAT II - III)

- ILS RWY 09L (CAT II - III)

- ILS RWY 09R (CAT II - III)

- ILS RWY 10C (CAT II - III)

- ILS RWY 10L (CAT II - III)

- ILS RWY 27C (CAT II - III)

- ILS RWY 27L (CAT II - III)

- ILS RWY 27R (CAT II - III)

- ILS RWY 28C (CAT II - III)

- ILS RWY 28L (CAT II - III)

- ILS RWY 28R (CAT II - III)

- ILS Z RWY 10R (CAT II - III)

- RNAV (RNP) Y RWY 27L

- RNAV (GPS) PRM RWY 28C

- RNAV (GPS) RWY 04R

- RNAV (GPS) RWY 09C

- RNAV (GPS) RWY 09L

- RNAV (GPS) RWY 09R

- RNAV (GPS) RWY 10C

- RNAV (GPS) RWY 10L

- RNAV (GPS) RWY 22L

- RNAV (GPS) RWY 22R

- RNAV (GPS) RWY 27C

- RNAV (GPS) RWY 27R

- RNAV (GPS) RWY 28C

- RNAV (GPS) RWY 28R

- RNAV (GPS) Y RWY 10R

- RNAV (GPS) Y RWY 28L

- RNAV (GPS) Z RWY 10R

- RNAV (GPS) Z RWY 27L

- RNAV (GPS) Z RWY 28L

- PRM AAUP

- ILS PRM RWY 10C

- ILS PRM RWY 28C

- ILS PRM Y RWY 10R

- ILS PRM RWY 10C (SA CAT I)

- ILS PRM RWY 28C (SA CAT I)

- ILS PRM RWY 10C (CAT II - III)

- ILS PRM RWY 28C (CAT II - III)

- RNAV (GPS) PRM RWY 10C

- RNAV (GPS) PRM Y RWY 10R

- RNAV (GPS) PRM Y RWY 28L

Departure Procedure (DP) Charts
Nearby Airports with Instrument Procedures
| ID | Name | Heading / Distance | ||
|---|---|---|---|---|
![]() |
KPWK | Chicago Exec Airport | 002° | 8.2 |
![]() |
KMDW | Chicago Midway International Airport | 148° | 13.4 |
![]() |
KDPA | Dupage Airport | 254° | 15.8 |
![]() |
1C5 | Bolingbrook's Clow International Airport | 210° | 19.6 |
![]() |
C81 | Campbell Airport | 340° | 22.1 |
![]() |
3CK | Lake In The Hills Airport | 306° | 23.1 |
![]() |
KLOT | Lewis University Airport | 200° | 23.7 |
![]() |
KUGN | Waukegan Ntl Airport | 003° | 26.8 |
![]() |
KARR | Aurora Municipal Airport | 244° | 28.3 |
![]() |
KGYY | Gary/Chicago International Airport | 134° | 30.9 |
![]() |
KIGQ | Lansing Municipal Airport | 147° | 31.5 |
![]() |
10C | Galt Field Airport | 320° | 33.0 |








