Login
Register
RNM
Ramona Airport
Official FAA Data Effective 2025-11-27 0901Z
From the Flight Deck
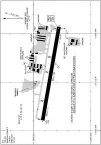
VFR Chart of KRNM
Sectional Charts at SkyVector.com
IFR Chart of KRNM
Enroute Charts at SkyVector.com
Location Information for KRNM
Coordinates: N33°2.35' / W116°54.92'Located 02 miles W of Ramona, California on 342 acres of land. View all Airports in California.
Surveyed Elevation is 1394 feet MSL.
1000 FT SNGL ENG, 1500 FT MULT ENG.
Operations Data
|
|
Airport Communications
| ATIS: | 132.025 |
|---|---|
| ASOS: | Tel. 760-239-7043 |
| RAMONA TOWER: | 119.875 |
| RAMONA GROUND: | 121.65 |
| SOCAL APPROACH: | 132.2 269.1 269.1 |
| SOCAL DEPARTURE: | 127.3 269.1 |
| CWARD DP: | 119.6 363.1 |
| CTAF: | 119.875 |
| PADRZ DP: | 119.6 363.1 |
| CLASS B: | 127.3 ;333-028 SAN BLW 7,000 FT 132.2 ;029-061 SAN 14,000 FT & BLW 132.2 ;333-028 SAN 7,000 FT-11,000 FT 269.1 ;029-061 SAN 14000 FT & BLW 269.1 ;333-028 SAN 7,000FT-11,000 FT 323.0 ;333-028 SAN BLW 7,000 FT |
| UNICOM: | 122.950 |
| AWOS-3P at SEE (13.1 S): | 125.45 619-449-1228 |
| ATIS at SEE (13.1 S): | 125.45 |
| ATIS at NKX (15.4 SW): | 133.475 |
Nearby Navigation Aids
|
| ||||||||||||||||||||||||||||||||||||
Runway 09/27
| Dimensions: | 5001 x 150 feet / 1524 x 46 meters | |
|---|---|---|
| Surface: | Asphalt in Good Condition | |
| Weight Limits: | S-75, D-95, ST-170 | |
| Edge Lighting: | Medium Intensity | |
| Runway 09 | Runway 27 | |
| Coordinates: | N33°2.42' / W116°55.40' | N33°2.28' / W116°54.43' |
| Elevation: | 1385.8 | 1394.5 |
| Traffic Pattern: | Left | Left |
| Runway Heading: | 99° True | 279° True |
| Markings: | Non-Precision Instrument in good condition. | Non-Precision Instrument in good condition. |
| Glide Slope Indicator | P2L (3.50° Glide Path Angle) UNUSBL BYD 3.0 NM DUE TO TRRN. | P2L (3.50° Glide Path Angle) |
| REIL: | Yes | |
Helipad H1
| Dimensions: | 340 x 66 feet / 104 x 20 meters | |
|---|---|---|
| Surface: | Asphalt-Concrete | |
| Coordinates: | N33°2.28' / W116°54.85' | N0°0.00' / E0°0.00' |
| Elevation: | 1391.0 | |
| Markings: | in good condition. | |
Services Available
| Fuel: | 100LL (blue), Jet-A |
|---|---|
| Transient Storage: | Tiedowns |
| Airframe Repair: | MAJOR |
| Engine Repair: | MAJOR |
| Bottled Oxygen: | NONE |
| Bulk Oxygen: | NONE |
| Other Services: | PILOT INSTRUCTION,AIRCRAFT RENTAL,AIRCRAFT SALES |
Ownership Information
| Ownership: | Publicly owned | |
|---|---|---|
| Owner: | COUNTY OF SAN DIEGO | |
| 1960 JOE CROSSON DRIVE | ||
| EL CAJON, CA 92020-1235 | ||
| 619-956-4800 | ||
| Manager: | MEADOW CHASE | |
| 2926 MONTECITO ROAD | ||
| RAMONA, CA 92065 | ||
| 760-788-3366 | ARPT MGR: CAN ALSO BE REACHED AT FALLBROOK COMMUNITY AIRPARK 760-723-8395. | |
Other Remarks
- THIS AIRPORT HAS BEEN SURVEYED BY THE NATIONAL GEODETIC SURVEY.
- HELIPAD PRKG N OF RWY NOT OPEN TO PUB.
- WHEN TWR CLSD ACFT MUST SELF-ANNOUNCE ON CTAF PRIOR TO LDG OR TKOF.
- PPR FOR ALL MIL ACFT CTC AMGR.
- COPTER SKID LNDGS ON RWY AND TWY PROHIBITED.
- HEL OPS TO HELIPAD S OF RWY RSTRD TO 6000 LBS OR LESS.
- REPETITIVE COPTER TRG CONDUCTED ON HELIPAD S OF RWY AND TWY A W OF TWR.
- HELIPAD S OF RWY UNLGTD.
- HELIPAD S OF RWY DAYTIME VFR USE ONLY.
- FOR CD WHEN ATCT CLSD CTC SOCAL APCH AT 800-448-3724.
- NO COPTER HOVER TAXI ON TWY A FROM TWY A1 UP TO, BUT NOT INCLG, TWY A4.
- VOLUNTARY JET CURFEW 2200-0700. NOISE SENSITIVE AREA NE-SE. NOISE ABATEMENT: TKOF CLIMB ON RWY HDG UNTIL 1900 FT MSL.
- PPR FOR ALL ACFT MORE THAN 65000 LBS AT WEST TSNT RAMP ADJ TO ATCT; CTC AMGR.
- FIRE FIGHTING ACFT ON AND IN THE VICINITY OF ARPT.
- AIR TANKERS IN VCNTY YEAR-ROUND FRQLY FLY NONSTD PAT ENTRIES.
- RWY 27 CALM WIND RWY.
- FOR FIRE FIGHTING ACTIVITY CALL AMGR.
- BE ALERT FOR BIRDS YEAR ROUND, VARIOUS SIZE AND SPECIES. OCNL COYOTE ON OR IN THE VICINITY OF RWY AND TWY.
- ACTVT REIL RWY 27; MIRL RWY 09/27; TWY LGTS - CTAF. PAPI RWY 09 & 27 OPER 24 HRS.
- 1000 FT SNGL ENG, 1500 FT MULT ENG.
Weather Minimums
Instrument Approach Procedure (IAP) Charts
Departure Procedure (DP) Charts
Nearby Airports with Instrument Procedures
| ID | Name | Heading / Distance | ||
|---|---|---|---|---|
![]() |
KSEE | Gillespie Field Airport | 192° | 13.1 |
![]() |
KNKX | Miramar MCAS (Joe Foss Field) Airport | 228° | 15.4 |
![]() |
KMYF | Montgomery-Gibbs Exec Airport | 220° | 17.5 |
![]() |
KCRQ | Mc Clellan-Palomar Airport | 286° | 19.2 |
![]() |
KSAN | San Diego International Airport | 217° | 23.0 |
![]() |
KOKB | Bob Maxwell Memorial Airfield Airport | 296° | 24.5 |
![]() |
KNZY | North Island NAS (Halsey Field) Airport | 216° | 25.4 |
![]() |
KNFG | Camp Pendleton MCAS (Munn Field) Airport | 305° | 27.2 |
![]() |
KSDM | Brown Field Municipal Airport | 186° | 28.2 |
![]() |
L08 | Borrego Valley Airport | 066° | 32.7 |
![]() |
F70 | French Valley Airport | 341° | 33.8 |
![]() |
KHMT | Hemet-Ryan Airport | 352° | 42.0 |







